Siêu bão đầu tiên xuất hiện tại 'ổ bão dữ dội nhất hành tinh': Hiện cách Biển Đông bao nhiêu km?
Siêu bão Sinlaku có vào Biển Đông không?
Ngày 13/4/2026, báo Đời Sống & Pháp Luật đăng tải bài viết: "Siêu bão đầu tiên xuất hiện tại "ổ bão dữ dội nhất hành tinh": Hiện cách Biển Đông bao nhiêu km?" có nội dung như sau:
Siêu bão Sinlaku (tên do Micronesia đặt, nghĩa là Nữ thần của thiên nhiên và cây sa kê) đã chính thức trở thành siêu bão đầu tiên của mùa bão Tây Bắc Thái Bình Dương năm 2026 và cũng là cơn bão mạnh nhất thế giới từ đầu năm 2026 tính đến nay.
Sinlaku hình thành từ ngày 9/4 tại Tây Bắc Thái Bình Dương - ổ bão dữ dội nhất thế giới, nơi chiếm khoảng 1/3 tổng số bão nhiệt đới toàn cầu mỗi năm.
Vào ngày 12/4/2026, Cơ quan Khí tượng Nhật Bản (JMA) cho biết Sinlaku nâng cấp lên Violent Typhoon (bão rất mạnh – cấp cao nhất theo phân loại của JMA).
Đây là lần đầu tiên trong năm 2026 có bão đạt cấp Violent Typhoon, đồng thời là trường hợp hiếm hoi xảy ra vào tháng 4 kể từ siêu bão Surigae năm 2021.
Thời điểm Sinlaku mạnh lên thành siêu bão
Sinlaku bắt đầu quá trình tăng cường rất nhanh từ ngày 11/4. Đến tối ngày 12/4/2026, bão chính thức đạt cường độ Siêu bão.
Theo Trung tâm Cảnh báo Bão Liên hợp Mỹ (JTWC), bão đạt đỉnh Category 5 (cấp mạnh nhất) với sức gió duy trì 1 phút lên tới 285–290 km/h, giật trên 350 km/h. Áp suất trung tâm giảm xuống mức cực thấp khoảng 896–905 hPa.
Sức mạnh siêu bão Sinlaku hiện tại (cập nhật 9h sáng 13/4/2026)
Theo tin dự báo thời tiết mới nhất lúc 9 giờ ngày 13/4 của JMA, tâm siêu bão Sinlaku nằm cách quần đảo Bắc Mariana (lãnh thổ tự trị của Mỹ ở Thái Bình Dương) khoảng 500 km về phía Đông Nam; cách Biển Đông hơn 3.000 km về phía Đông. Sức gió mạnh nhất vùng gần tâm bão đạt cấp 17 (khoảng 212 km/h), giật trên cấp 17.
JMA ghi nhận sức gió 10 phút khoảng 195–205 km/h, áp suất trung tâm 905–910 hPa. Đây là một trong những cơn bão mạnh nhất được ghi nhận vào tháng 4 trong lịch sử quan sát.
Dự báo siêu bão Sinlaku trong 24-48 giờ tới
JMA và JTWC nhận định Sinlaku là một siêu bão rất mạnh và nguy hiểm, nhưng ít có khả năng đi vào Biển Đông. Bão chủ yếu ảnh hưởng đến vùng biển mở và quần đảo Mariana trước khi suy yếu.
Theo dự báo JMA, trong 24 giờ tới, siêu bão sẽ tiếp tục di chuyển theo hướng Tây Bắc với tốc độ khoảng 15 km/h và duy trì cường độ cấp 17.
Dự báo trong 48 giờ tới:
- Tiếp tục di chuyển Tây Bắc, sau đó dần đổi hướng lên Bắc và Bắc Đông Bắc.
- Bão sẽ đi qua hoặc ảnh hưởng trực tiếp đến quần đảo Mariana (đặc biệt là Tinian và Saipan) vào ngày 14–15/4 với sức gió rất mạnh.
- Sau đó bão sẽ suy yếu dần khi di chuyển về phía Đông Nhật Bản.
Bão đang ở điều kiện thuận lợi
Yaleclimateconnections cho biết, siêu bão Sinlaku đã tận dụng các điều kiện thuận lợi để mạnh lên nhanh chóng: Sức gió yếu chỉ 5-10 hải lý/giờ, nhiệt độ mặt biển 28-29 độ C, với nước ấm trải rộng đến độ sâu lớn.
Với sức gió vượt trên 200 km/h, siêu bão Sinlaku sở hữu sức tàn phá rất mạnh, gây sóng biển dữ dội và tiềm ẩn nguy cơ cao đối với các tàu thuyền trọng tải lớn hoạt động trên biển.
Sinlaku đang gây ra sóng lớn cao trên 13 mét và mưa rất to tại khu vực ảnh hưởng. Guam và các đảo Mariana đã ban hành cảnh báo bão nghiêm trọng.
Đây là dấu hiệu cho thấy mùa bão 2026 tại Tây Bắc Thái Bình Dương có thể hoạt động mạnh ngay từ đầu năm.
Tính trên quy mô toàn cầu, siêu bão Cấp 5 khác của năm 2026 tính đến thời điểm hiện tại là Horacio, đạt đỉnh với sức gió 260 km/h (yếu hơn Sinlaku) trên vùng biển ấm áp của Nam Ấn Độ Dương xa xôi vào ngày 23/2/2026.
Tiếp đến, báo Tiền Phong thông tin thêm trong bài đăng: "Vì sao cơn bão mạnh nhất thế giới 2026 Sinlaku được gọi là "cơn bão cưa máy"?" cụ thể như sau:
Càng ngày, dường như những cơn bão mạnh xuất hiện càng thường xuyên hơn. Không chỉ vậy, chúng xuất hiện cả vào những thời điểm vốn ít khi có bão, chứ đừng nói là siêu bão.
Thật vậy, bây giờ còn chưa đến giữa tháng 4 mà ở Tây Bắc Thái Bình Dương đã có một siêu bão: Sinlaku (cơn bão này dự báo không vào Biển Đông).
Tối 12/4, Trung tâm Cảnh báo Bão Liên hợp (JTWC) của Mỹ đã nâng Sinlaku lên cấp siêu bão, với sức gió 280 km/h (vượt xa cấp 17). Theo Trung tâm Dự báo Khí tượng Thủy văn Quốc gia nước ta, Sinlaku chính thức là cơn bão mạnh nhất thế giới năm 2026, tính đến thời điểm này, "soán ngôi" bão Maila.

Sinlaku cũng đã ghi tên mình vào danh sách những kỷ lục: Nó là một trong 3 cơn bão mạnh nhất ở thời điểm tháng 4 kể từ năm 1977. Nó cũng là cơn bão đầu tiên trong năm 2026 đạt cường độ như trên, và đây cũng là lần đầu tiên xuất hiện một cơn bão mạnh như vậy trong tháng 4 kể từ bão Surigae năm 2021.
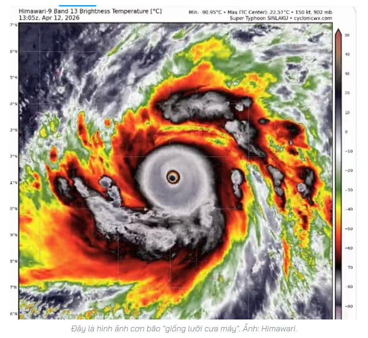
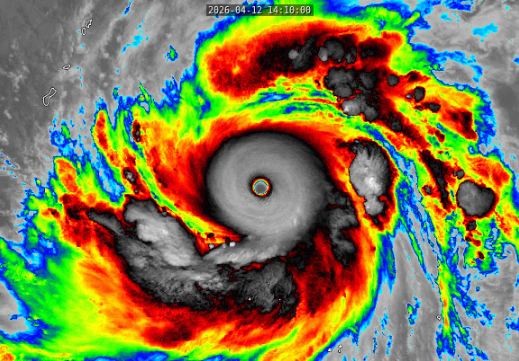
Chưa hết, siêu bão Sinlaku còn gây ấn tượng với hình dáng giống y như một lưỡi cưa máy (hoặc cưa đĩa).
Theo trang KXAN (của đài NBC, Mỹ) và Popular Science, "cơn bão cưa máy" là cách gọi một cơn bão rất mạnh, có sức tàn phá lớn, và trên ảnh vệ tinh, trông nó giống một lưỡi cưa máy với những đám mây nhọn ở vành.

Không chỉ vậy, hình dạng cơn bão cưa máy còn có tính đối xứng - đặc điểm của những cơn bão rất mạnh, nhất là bão mạnh lên nhanh chóng. Một số người theo dõi bão nhận xét rằng, khi một cơn bão trông đối xứng và như lưỡi cưa máy thì chứng tỏ nó có tất cả các yếu tố cần thiết để đạt đến mức mạnh nhất - hoặc có thể gọi là… tệ nhất.

Theo trang Guam Pacific Daily News, siêu bão Sinlaku đang di chuyển chậm về phía Quần đảo Bắc Mariana.
Việc một cơn bão như Sinlaku xuất hiện vào thời điểm này cho thấy các cơn bão ngày càng trở nên phức tạp, dị thường.
